2735 S SMITH Road -Stanfield, AZ 85172
Due to the health concerns created by Coronavirus we are offering personal 1-1 online video walkthough tours where possible.




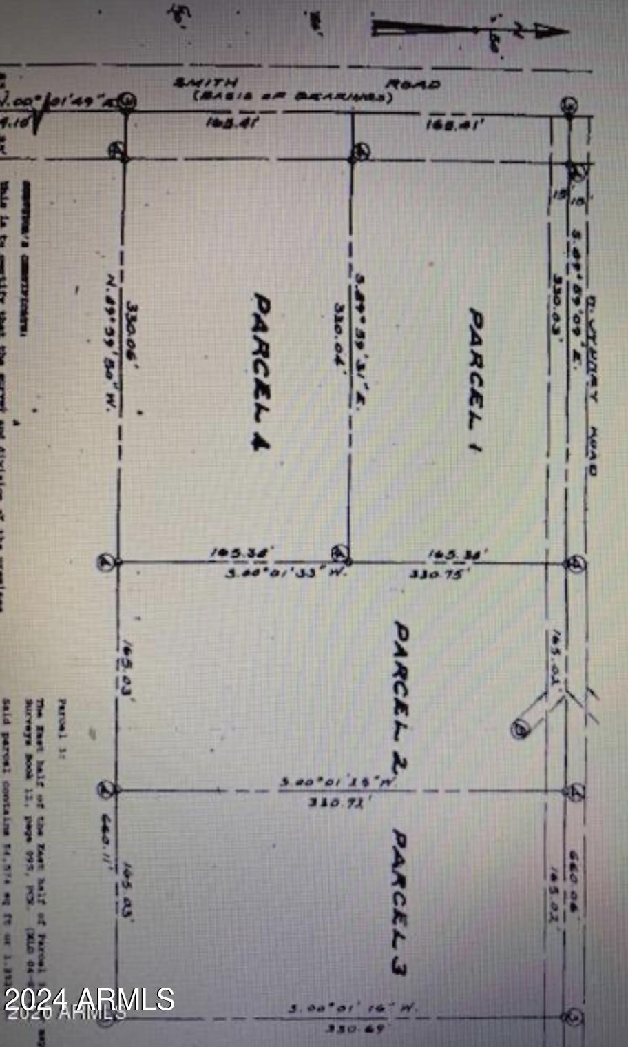
This Scenic, Sub-dividable, Level, 5 Acre Property offers Countless Opportunities & Views for Days! You can Hike or Ride for Miles!Located Near Table Top Mountain Trail. Positioned Between 2 Growing Cities, Maricopa and Casa Grande, Centrally Located Between Phoenix & Tucson & Near 2 Hwys & Great Access To Such Employers Like Lucid Motors, Nikola Motors, Abbott Nutrition, Hexcel, Daisy Brand, Frito Lay, Wal-Mart Distribution Center, Tractor Supply Distribution Center, & more! Please note there is a Record of Survey that subdivided the property into 4 parcels/lots and is included with the sale. Thus, allowing you the Chance to build on one or 2 of the lots and sell off the others. The Record of Survey can be viewed in the photos on this listing & will need to be recorded after closing.
| 4 months ago | Listing updated with changes from the MLS® | |
| 4 months ago | Status changed to Active | |
| 12 months ago | Price changed to $79,900 | |
| a year ago | Listing first seen on site |
All information should be verified by the recipient and none is guaranteed as accurate by ARMLS. Copyright 2026 Arizona Regional Multiple Listing Service, Inc. All rights reserved.
Last checked: 2026-01-16 06:01 AM UTC

Did you know? You can invite friends and family to your search. They can join your search, rate and discuss listings with you.