578XX W Northern Avenue Lot 1Tonopah, AZ 85354
Due to the health concerns created by Coronavirus we are offering personal 1-1 online video walkthough tours where possible.


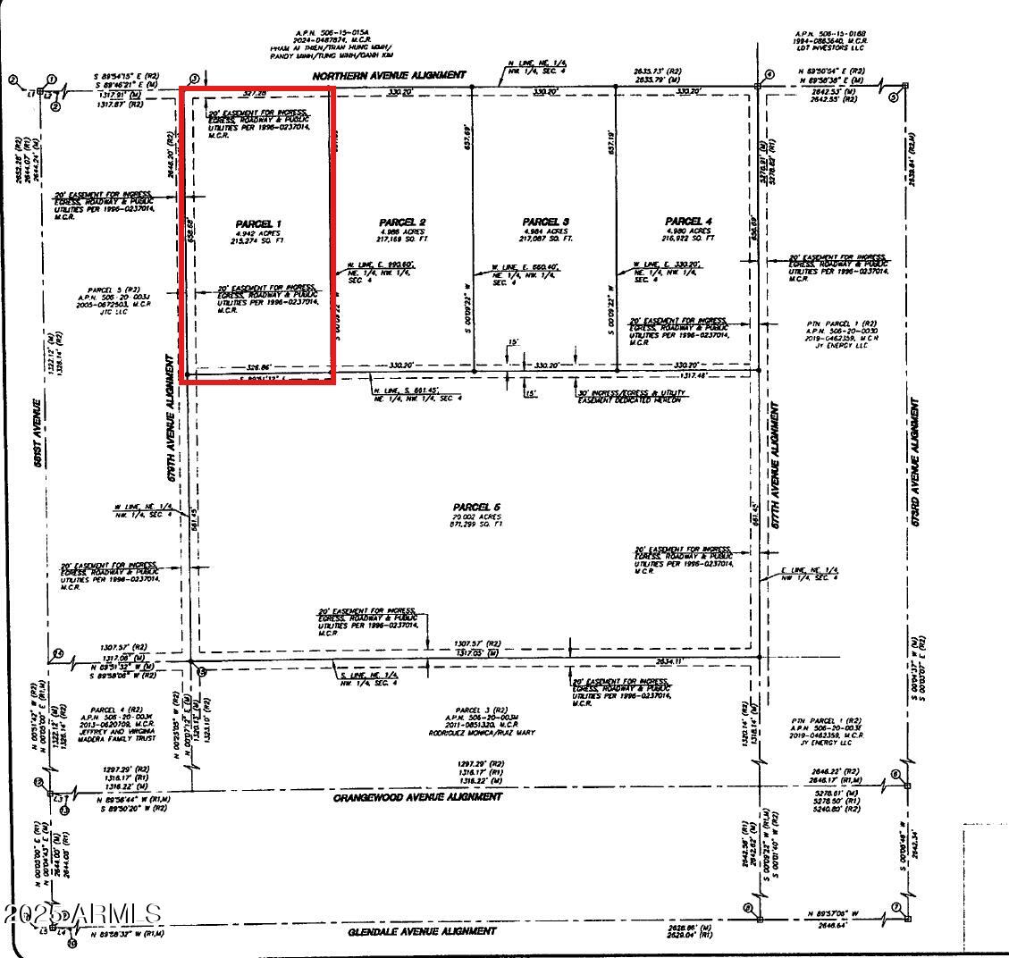
Imagine staking your claim on 4.94 acre piece of raw desert just east of Aguila Road along Northern Avenue. This awesome piece of land offers sweeping horizons, starlit nights, and the freedom to create a cozy ranchette—complete with solar-powered tiny homes, pasture space, or whatever off-grid dream you dare to build. With easy road frontage roughly 1,300 feet from Aguila Road, you'll have straightforward access today and the promise of future infrastructure growth. As farmland and developable acreage vanish, this tract stands out as a rare investment in land that can never be reproduced. Secure your slice of Arizona's next frontier with flexible financing available at just 25% down, and watch your vision—and your equity—take root in the soil.
| 6 months ago | Listing updated with changes from the MLS® | |
| 6 months ago | Price changed to $39,900 | |
| 6 months ago | Listing first seen on site |
All information should be verified by the recipient and none is guaranteed as accurate by ARMLS. Copyright 2026 Arizona Regional Multiple Listing Service, Inc. All rights reserved.
Last checked: 2026-01-16 12:37 AM UTC

Did you know? You can invite friends and family to your search. They can join your search, rate and discuss listings with you.