2078 N Highway 90 -- -Huachuca City, AZ 85616
Due to the health concerns created by Coronavirus we are offering personal 1-1 online video walkthough tours where possible.




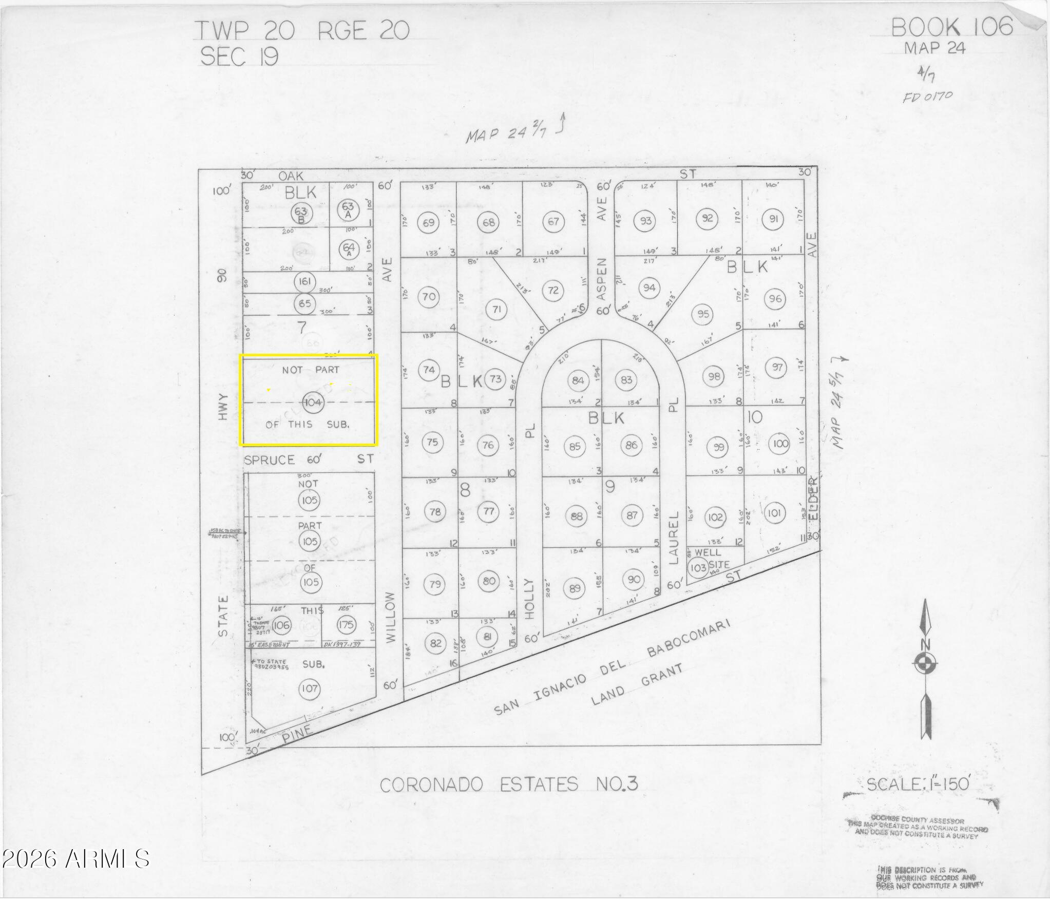
LARGE 1.38 ACRE LOT FOR SALE IN HUACHUCA CITY, AZ. LOCATED RIGHT ON HIGHWAY AND ZONED ''GB-GENERAL BUSINESS''. POWER CLOSE BY & PRIVATE WATER CO IN THE AREA. ENJOY BEAUTIFUL SOUTHERN ARIZONA WITH SUNNY DAYS & BLUE SKIES. COCHISE COUNTY APN 106-24-104*SELLER MAY CARRY*DIRECTIONS: AZ HWY 90/VISTA LN- EAST ON VISTA LN, PROPERTY IS LOCATED NORTH OF VISTA LN & SPANS BETWEEN HWY 90 & WILLOW AVE. DO NOT USE ADDRESS TO LOCATE, MUST USE AERIAL MAPS & GPS COORD 31.685410, -110.349532.
| 3 days ago | Listing updated with changes from the MLS® | |
| 3 days ago | Status changed to Pending | |
| 4 days ago | Listing first seen on site |
All information should be verified by the recipient and none is guaranteed as accurate by ARMLS. Copyright 2026 Arizona Regional Multiple Listing Service, Inc. All rights reserved.
Last checked: 2026-04-17 07:05 AM UTC

Did you know? You can invite friends and family to your search. They can join your search, rate and discuss listings with you.